Pangkalpinang (ANTARA) - Pemerintah Provinsi Kepulauan Bangka Belitung menutup sejumlah ruas jalan utama di Kota Pangkalpinang pada Jumat (21/11) dalam rangka pelaksanaan upacara peringatan Hari Ulang Tahun (HUT) ke-25 Provinsi Kepulauan Bangka Belitung dan kegiatan Senam Bedincak yang diperkirakan diikuti sekitar 10.000 peserta.
Kepala Dinas Perhubungan Provinsi Kepulauan Bangka Belitung Asban Aris mengatakan penutupan jalan mulai diberlakukan pada pukul 13.00 WIB hingga kegiatan selesai, demi kelancaran upacara yang digelar di Lapangan Kantor Gubernur.
“Penutupan ini dilakukan untuk memastikan keamanan dan kenyamanan peserta upacara maupun masyarakat yang mengikuti Senam Bedincak,” ujarnya.
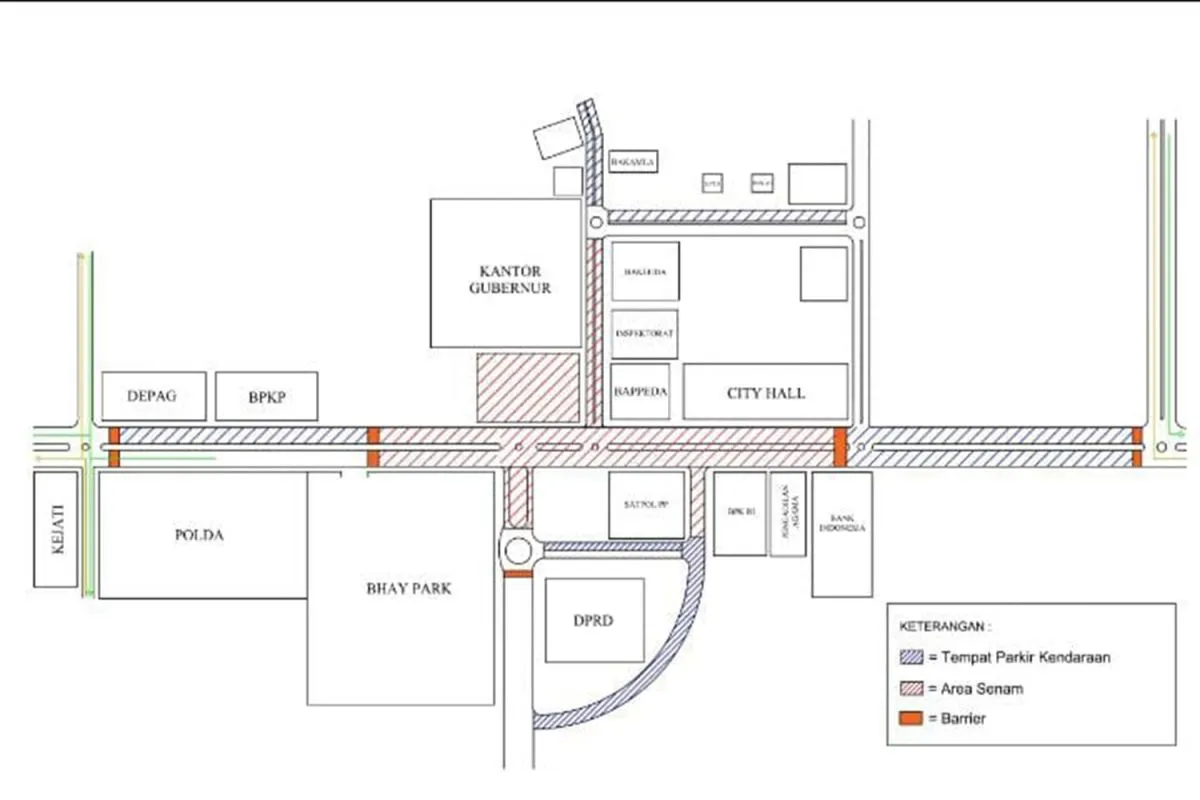
Adapun ruas jalan yang ditutup meliputi Jalan Pulau Ketawai pada segmen Gapura Air Itam hingga Kantor DPRD, Jalan Pulau Bangka pada segmen Kanwil Depag hingga Bhay Park Polda; serta Jalan Pulau Bangka pada segmen Bundaran Simpang Bandara–City Hall–Bank Indonesia–BPK.
Pemerintah mengimbau masyarakat dan pengguna jalan untuk memilih jalur alternatif serta menyesuaikan waktu perjalanan guna menghindari kemacetan di area terdampak.
“Kerja sama pengguna jalan sangat kami harapkan agar kegiatan peringatan HUT ke-25 Provinsi Bangka Belitung dapat berlangsung tertib dan lancar,” katanya.
